釣果情報
天気: ▶︎天気 晴れ 西 ▶︎潮 若潮 なし なし 詳細表示あり
2025年11月15日(土)
水温: 19.9℃
気温: 13℃
風向: ▶︎天気 晴れ 西 ▶︎潮 若潮 なし なし 詳細表示あり
風速: 2m/s
潮 : ▶︎天気 晴れ 西 ▶︎潮 若潮 なし なし 詳細表示あり
満潮: 4:40/16:30
干潮: 10:10/23:30
警報: ▶︎天気 晴れ 西 ▶︎潮 若潮 なし なし 詳細表示あり
注意報: ▶︎天気 晴れ 西 ▶︎潮 若潮 なし なし 詳細表示あり
水温: 19.9℃
気温: 13℃
風向: ▶︎天気 晴れ 西 ▶︎潮 若潮 なし なし 詳細表示あり
風速: 2m/s
潮 : ▶︎天気 晴れ 西 ▶︎潮 若潮 なし なし 詳細表示あり
満潮: 4:40/16:30
干潮: 10:10/23:30
警報: ▶︎天気 晴れ 西 ▶︎潮 若潮 なし なし 詳細表示あり
注意報: ▶︎天気 晴れ 西 ▶︎潮 若潮 なし なし 詳細表示あり
水温: 19.9℃
気温: 13℃
風向: ▶︎天気 晴れ 西 ▶︎潮 若潮 なし なし 詳細表示あり
風速: 2m/s
潮 : ▶︎天気 晴れ 西 ▶︎潮 若潮 なし なし 詳細表示あり
満潮: 4:40/16:30
干潮: 10:10/23:30
警報: ▶︎天気 晴れ 西 ▶︎潮 若潮 なし なし 詳細表示あり
注意報: ▶︎天気 晴れ 西 ▶︎潮 若潮 なし なし 詳細表示あり
水温: 19.9℃
気温: 13℃
風向: ▶︎天気 晴れ 西 ▶︎潮 若潮 なし なし 詳細表示あり
風速: 2m/s
潮 : ▶︎天気 晴れ 西 ▶︎潮 若潮 なし なし 詳細表示あり
満潮: 4:40/16:30
干潮: 10:10/23:30
警報: ▶︎天気 晴れ 西 ▶︎潮 若潮 なし なし 詳細表示あり
注意報: ▶︎天気 晴れ 西 ▶︎潮 若潮 なし なし 詳細表示あり
水温: 19.9℃
気温: 13℃
風向: ▶︎天気 晴れ 西 ▶︎潮 若潮 なし なし 詳細表示あり
風速: 2m/s
潮 : ▶︎天気 晴れ 西 ▶︎潮 若潮 なし なし 詳細表示あり
満潮: 4:40/16:30
干潮: 10:10/23:30
警報: ▶︎天気 晴れ 西 ▶︎潮 若潮 なし なし 詳細表示あり
注意報: ▶︎天気 晴れ 西 ▶︎潮 若潮 なし なし 詳細表示あり
水温: 19.9℃
気温: 13℃
風向: ▶︎天気 晴れ 西 ▶︎潮 若潮 なし なし 詳細表示あり
風速: 2m/s
潮 : ▶︎天気 晴れ 西 ▶︎潮 若潮 なし なし 詳細表示あり
満潮: 4:40/16:30
干潮: 10:10/23:30
警報: ▶︎天気 晴れ 西 ▶︎潮 若潮 なし なし 詳細表示あり
注意報: ▶︎天気 晴れ 西 ▶︎潮 若潮 なし なし 詳細表示あり
水温: 19.9℃
気温: 13℃
風向: ▶︎天気 晴れ 西 ▶︎潮 若潮 なし なし 詳細表示あり
風速: 2m/s
潮 : ▶︎天気 晴れ 西 ▶︎潮 若潮 なし なし 詳細表示あり
満潮: 4:40/16:30
干潮: 10:10/23:30
警報: ▶︎天気 晴れ 西 ▶︎潮 若潮 なし なし 詳細表示あり
注意報: ▶︎天気 晴れ 西 ▶︎潮 若潮 なし なし 詳細表示あり
水温: 19.9℃
気温: 13℃
風向: ▶︎天気 晴れ 西 ▶︎潮 若潮 なし なし 詳細表示あり
風速: 2m/s
潮 : ▶︎天気 晴れ 西 ▶︎潮 若潮 なし なし 詳細表示あり
満潮: 4:40/16:30
干潮: 10:10/23:30
警報: ▶︎天気 晴れ 西 ▶︎潮 若潮 なし なし 詳細表示あり
注意報: ▶︎天気 晴れ 西 ▶︎潮 若潮 なし なし 詳細表示あり
| 魚種 |
サイズ |
匹数(全体) |
| サバ |
18~27cm |
合計240匹 |
| 小アジ |
11~15cm |
合計35匹 |
| アジ |
24cm |
合計1匹 |
| カタクチイワシ |
6~10cm |
合計800匹 |
| サッパ |
10~15cm |
合計870匹 |
| コノシロ |
20~25cm |
合計30匹 |
| サヨリ |
20~26cm |
合計25匹 |
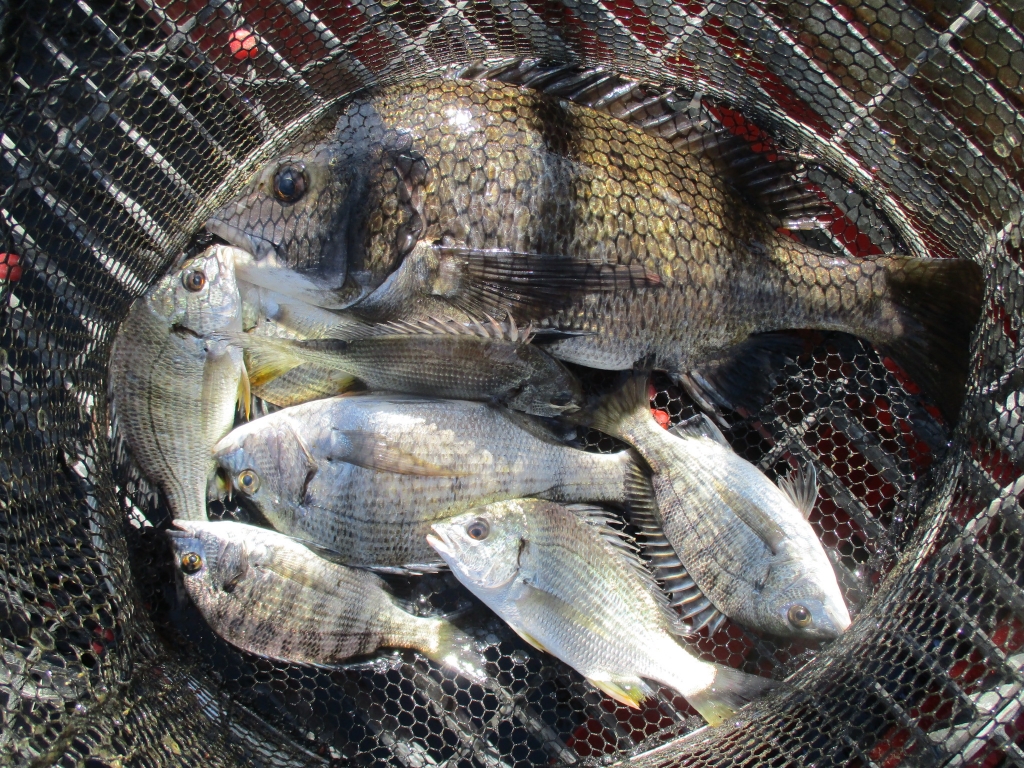
| チヌ |
30~45cm |
合計5匹 |
| キビレ |
20~24cm |
合計6匹 |
| セイゴ |
35~39cm |
合計9匹 |
| ハネ |
41cm |
合計3匹 |
| グレ |
25cm |
合計1匹 |
| アコウ |
27~30cm |
合計3匹 |
今日は大阪市のこうちゃん&なおくんが8〜13cmのサッパを60匹と
8〜10cmのカタクチイワシを30匹釣られました。
釣り方:サビキ釣り、竿:1、65m、鉤:7号
棚:5〜6ヒロ、エサ:アミエビで場所は内向き西側でした
今日のサビキ釣りは中層〜底付近でサッパと
カタクチイワシがよく釣れています。
表層には大量のカタクチイワシとサッパが群れをなして
泳いでいますが、こちらはサビキ仕掛けにはなかなか
反応してくれませんので沈めて狙ったほうがいいですね。
サバ、小アジ、コノシロといった魚もたまに混じりますが
こちらも底付近の深いタナで釣れます。
このようなタナが深いときは鉄カゴを使うことでグッと
手返しが良くなりますので用意しておくと吉ですね。
サヨリ狙いの人はいるものの反応は薄く名人と言われる
人でも今日は数えるほどしか釣れていなかったようです。
シラサエビを使ったエビ撒き釣りではセイゴ、ハネ、
チヌ、キビレといったお魚が釣れていますが
今日釣れているのはセイゴクラスが多かったようです。
イワシが回遊しているので大きいのはそちらを
捕食しているんでしょうね。
紀州釣りではチヌ、キビレが釣れていました。
ノマセ釣りではアコウが釣れていました。
サイズは置いといて今年は本当にアコウが良く釣れています。
サビキ釣り、エビ撒き釣り、ノマセ釣りで釣れますので
釣れたらラッキーですね。
ーーーーーーーーーーーーーーーーーーーーーーーーーー
夕方以降サビキ釣りでサバやサッパなど釣れています。
サヨリは終日不発でした。
大阪市の小林様、サビキ釣り+イワシノマセ釣りでセイゴもゲット!
紀州釣りではチヌとキビレがよく釣れていました。